Project Status
Estimated Completion
Late Fall 2026Contact
Butler Market & Wells Acres Roundabout and Key Route Project
IMPORTANT INFORMATION
Westbound Butler Market Road is closed for Phase 1 construction from Brinson Boulevard to Eighth Street. To reduce impacts to traffic, eastbound travel will remain open for the duration construction. (See detour map.)
Periodic closures of access to side streets will be required. Please follow posted signs.
NOTE: Dates are estimates and subject to change.
This project will design and construct a new single lane roundabout at the intersection of Butler Market Road and Wells Acres Road, and pedestrian and bicycle improvements on Butler Market Road between Boyd Acres Road and Brinson Boulevard.
Thank you, voters!
This is a 2020 Transportation GO Bond Project.
Improvements at the intersection of Butler Market and Wells Acres roads have long been a priority for the surrounding neighborhoods. The new single lane roundabout will be designed to make the intersection safer and more efficient conditions for all modes of travel.
Design and construction of a safer and more accessible bike and pedestrian route on Butler Market Road, between Boyd Acres Road and Brinson Boulevard was identified in the City of Bend Transportation System Plan and included in the voter approved 2020 Transportation GO Bond.
Project Updates
- Spring 2025 Preconstruction Video
Location

The roundabout will be constructed at the intersection of Butler Market Road and Wells Acres Road.
The key route will provide a safer and more accessible bike and pedestrian route along Butler Market Road, between Boyd Acres Road to Brinson Boulevard.
Schedule
Estimated Phase 1 Project Schedule (updated Aug 21, 2025)
- Pre-construction Community Open House – August 19, 2025
- Construction anticipated to begin – Week of September 22, 2025
- Phase 1 Completion – Late Fall 2026
Dates are estimates and subject to change.
Project Design
- What to expect during construction

Improvements from Brinson Boulevard to Wells Acres Road:
- 6 ft. wide bike lanes at sidewalk level with updated striping to improve safety.
- Improved sidewalks along the south side of the roadway and no change to the existing shared use path along the north side.
- Stamped concrete buffers between vehicle traffic and bike lanes and sidewalks. (Width may vary based on right of way width.
- ADA ramp improvements at all public street crossings.
Please note:
- Buffer widths may vary based on available right of way.
- There are intermittent locations that require at-grade (street level) bike lanes including at driveway connections and public street intersections through the NE Wells Acres roundabout (shared vehicle traffic).
- This project will not include any changes to the NE Brinson intersection.
- To reduce project costs, the design will not change sidewalks in good condition from Wells Acres to Brinson along the north side of the roadway.
- Stormwater and utility features will need to be adjusted and relocated based on the improvements.

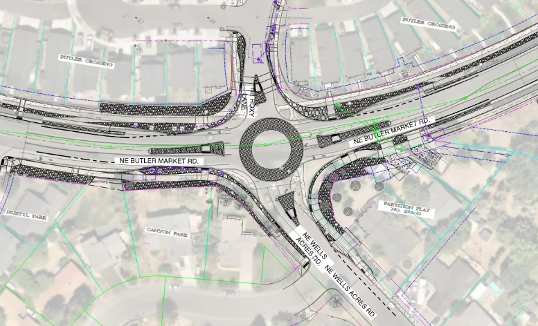
The design above shows the proposed roundabout. Benefits and features include:
- Lower speeds reduce crash severity in roundabouts.
- Splitter islands provide a refuge for pedestrians crossing at the intersection.
- Options for Bikes to stay in traffic through the roundabout or transitions up to shared use paths to traverse roundabout.
- Widened and separated shared-use paths around the roundabout help protect bikes and pedestrians from vehicle traffic.
- Raised crosswalk across Roxy Place improves pedestrian safety and helps reduce speeds going into the residential neighborhood.
-
There are intermittent locations that require at-grade (street level) bike lanes including through the NE Wells Acres roundabout (shared vehicle traffic).
Additional improvements not shown on image above:
- New sidewalk infill will be added where no sidewalk currently exists on the west side of Wells Acres Road from Butler Market Road to NE Canyon Park Drive.
- Stormwater collection infrastructure improvements at NE Roxy Lane.

The graphic above shows the proposed improvements from Wells Acres Road to Eighth Street:
- 6 ft. wide bike lanes at sidewalk level with updated striping to improve safety.
- Improved sidewalks along the south side of the roadway.
- The north side shared use path will be a combine new (infill) shared use path where no sidewalk currently exists, replacement of existing narrow sidewalk with a wider shared use path, and keeping the existing path that is in good condition.
- Stamped concrete buffers between vehicle traffic and bike lanes and sidewalks. (Buffer width may vary based on right of way width.)
- ADA ramp improvements at all public street crossings.
- Crosswalk at Jones Road.
- Street lighting improvements.
Please note:
- Buffer widths may vary based on available right of way.
- There are intermittent locations that require at-grade (street level) bike lanes including at public street intersections through the Wells Acres roundabout (shared vehicle traffic).
- This project does not include any changes to the Eighth Street intersection.
Proposed improvements from Eighth Street to Boyd Acres Road:
- Street grade bike lanes with dura-curb to improve safety and also allow Fire and emergency medical services access during an emergency.
- The south side bike lane from Eighth Street to Ravenwood requires at-grade (street level) bike lane with a raised median buffer that separates the bike lane from vehicle traffic.
- The bike lane width between Eighth Street and Boyd Acres Road varies from 5’ and 6’ based on the constrained right of way. Bike lane widths are being evaluated to provide a 6’ bike lane where possible.
- Dura-curb buffers between vehicle traffic and bike lanes and sidewalks. (Buffer width may vary based on right of way width.)
- ADA ramp improvements at all public street crossings.
This section will be part of Phase 2 Construction. Dates are to be determined based on funding.
Public Meetings & Information
The City hosted an online Informational Open House from Jan. 22 – Feb. 5, 2024 to share early designs and project information for both the Butler Market Road Key Route and the Wells Acres and Butler Market Roundabout Project. Feel free to browse through the exhibits and information.
Welcome! This open house and comment form is now closed. However, feel free to browse the open house information.
This online informational open house includes
- Results from the May 2023 Online Community Open House Survey.
- Design update for the Butler Market key route and Wells Acres roundabout improvements
- Project schedule update.
- Opportunity to share comments with the project team. (open Jan. 22 – Feb. 5)
- Project flyer
Key Definitions
- Shared use paths (SUP) are a type of trail designed to be part of a transportation system, providing off-road routes for a variety of users. The primary users of shared use paths are bicyclists and pedestrians, including pedestrians using mobility devices such as manual or motorized wheelchairs (NACTO, 2011)
- Public right of way – click “Right of Way Basics” tab below.
Design Alternatives Analysis
The first step in this project was the alternatives analysis completed in 2023 identifying three preliminary design concepts and recommendations on construction timing, needs and costs for the proposed improvements. Initially, the alternatives analysis also included Boyd Acres Road. However, the City re-evaluated the Boyd Acres Road key route, given project costs, budget constraints, key destinations for travelers and the number of businesses along the route that would be affected. Instead, the focus of the project is now prioritizing the enhanced bike and pedestrian improvements to Butler Market Road, which provides connections to nearby parks, businesses, schools and neighborhoods for thousands of commuters. The Boyd Acres key route remains a project pending funding.
Public Feedback Helped Guide the Project Design
A two-week online open house provided participants the opportunity to review and provide input on the potential design configurations for portions of the Butler Market and Boyd Acres Roads key routes. Additionally, participants were able to complete a survey and rank preferred design configuration alternatives and features.
Out of the 377 surveys completed, people preferred separated shared lanes, with wide sidewalks for the Butler Market corridor. The key characteristics people would like to see include “Cyclist safety/ convenience/ comfort,” “Pedestrian safety/convenience/ comfort,” and “Safer and enhanced street crossings”, which scored almost equally, with “Connections to nearby parks and trails” close behind.
Based on several criteria, including the survey results, the City has initiated design work that will provide raised bike lanes and wider sidewalks along the corridor where public right of way constraints allow. The design is maximizing buffer space between vehicle lanes and bikes lanes. Combined with the Butler Market and Wells Acres Roads roundabout intersection improvement, this well-traveled roadway will receive much-needed improvements for safer travel.
Preferred Alternative
The preferred alternative for the Butler Market Road pedestrian and bicycle improvements include the following:
- Sidewalk level bike lanes where right of way constraints allow and updated striping to improve safety.
- Bike Lane widths are being evaluated to provide a 6’ bike lane where possible.
- Maximizing buffer space between vehicle lanes and bikes lanes.
- Improved sidewalks along the south side of the roadway and a shared use path along the north side.
- Stamped concrete buffers between vehicle traffic and bike lanes and sidewalks. (Width will vary based on right of way.)
- ADA ramp improvements at all public street crossings.
Please Note:
- There are intermittent locations that require at-grade (street level) bike lanes including at public street intersections, driveway connections, thru the Wells Acres roundabout (shared vehicle traffic), along the constrained right of way section just west of Eighth Street and at connections to unimproved areas.
- The project will not include any changes to the Boyd Acres intersection, Eighth Street intersection and the Brinson intersection.
- Constrained areas and unique conditions may create exceptions to the sample cross sections in certain areas.
Comments – CLOSED
The open house comment form closed on Feb. 5, 2024.
Interested in Learning More?
Additional project information, links to nearby projects, and public right of way basics are available below.
Thank you for your interest in this project!
What is Right-of-Way (ROW)?
A public right-of-way is how the public travels within the City limits. Land within the right-of-way may be used for public streets, sidewalks, curbs, alleys, portions of driveways, public and private utilities, etc. Right-of-way width varies by location and often extends well into what appears to be private property.
Right-of-way is also where utilities run their lines, including power, water, sewer, cable, telephone, and fiber optic. Additionally, the City has utilities such as water, sewer, and stormwater located within the right-of-way. Water meters for individual properties owned and maintained by the City are located outside the roadway and sidewalks and are usually placed in landscaping within the right-of-way.
Permanent utility easements may also exist within private property and can be obtained through a title report. Property owners are responsible for clearing obstructions in the right-of-way. These include overgrown private trees, plants, shrubs, grass or vegetation extending from their front door to the curb. [Chapter 3.30, Bend Municipal Code]. Additionally, property owners are responsible to clear snow from sidewalks adjacent to their property [Chapter 5.35.020, Bend Municipal Code].

Background
Key Route on Butler Market Road Between Boyd Acres and Brinson
The City is currently designing a a safer and more accessible bike and pedestrian route along Butler Market Road, between Boyd Acres Road to Brinson Boulevard. The focus of the project is providing enhanced bike and pedestrian improvements to Butler Market Road, which provides connections to nearby parks, businesses, schools and neighborhoods for thousands of commuters.
Once complete, this project will:
- Provide safer, easier connections for pedestrians and bicyclists traveling between neighborhoods, schools, parks, and businesses in the area.
- Develop user-friendly and efficient transportation enhancements that balance the needs of adjacent businesses and residents along the routes.
- Be completed as a coordinated project with planned paving and other infrastructure improvements in the area, using public funds efficiently by completing multiple projects at once.
Preparing an alternatives analysis was the first step in this project, which identified three preliminary design concepts and recommendations on construction timing, needs and costs for the roadway.
We are committed to listening to community members and identifying the options that meet the city’s long-term needs, and through an online Open House that took place from May 9 through May 22, 2023, nearly 400 people provided feedback on three design concepts for the Butler Market corridor. From the public feedback, the City chose a design that will provide separated bike lanes and wider sidewalks along the corridor. Combined with the Butler Market and Wells Acres Roads roundabout intersection improvement, this well-traveled roadway will receive much-needed improvements for safer travel.
Roundabout at Butler Market Road & Wells Acres Road Intersection
This project will design and construct a single lane roundabout at the intersection of Butler Market Road and Wells Acres Road. As the area has grown over the years there has been an increasing need to better serve the surrounding community by making accessing the intersection easier and safer for all modes of travel, especially during peak periods of traffic.
The single-lane roundabout design concept* exhibit (above):
- Enhances intersection safety and functionality for all users
- Reduces intersection entry / exit speeds while enhancing mobility including emergency services
- Is consistent with current City design standards and similar to other recent designs (e.g. Butler Market Road and Purcell Boulevard roundabout)
- Minimizes impacts to private property and existing utilities
* This design concept is preliminary and subject to change.
Project Benefits
- Delivering a long-desired improvement to intersection safety and operations for the surrounding neighborhoods
- Better connection for neighborhoods, schools, parks, and businesses to the north and south that are currently divided by a busy, fast barrier to safe travel
- Improving travel time reliability along a major east-west corridor in Bend
Roundabout Design Open House – Dec. 19, 2022
Browse the information and exhibits from the open house:
- Project Fact Sheet with Frequently Asked Questions (Spanish)
- Project Exhibit
- Roundabout Design Concept Exhibit (image above)
Funding
The Butler Market bicycle and pedestrian improvements are funded by the 2020 Transportation GO Bond. The Transportation Bond Oversight Committee approved the Butler Market Road key route as a high priority project. Browse the GO Bond Dashboard to learn more about the status of more GO Bond projects.